Az állatorvoslás
nem mindennapi oldala

Dr. Seregi Antal

Legg-Perthes kór

Legg-Calve-Pertes kórnak nevezzük kistestű kutyákban a combcsontfej nem fertőzéses eredetű elhalását és az ebből adódó klinikai tüneteket.

A betegség szinte kizárólag kistestű kutyákban alakul ki, általában egyoldali, de mindkét combcsontfej érintettsége is előfordulhat. A combcsontfej elhalásának oka egy vérellátási zavar kialakulása. Örökletes jellege nem egyértelműen igazolt.

Az 1 év alatti kutyákban a hátsó lábon jelentkező enyhe fokú sántaság az első tünet, mellyel a tulajdonos általában az állatorvoshoz fordul. A csípőízület passzív mozgatására, rotálására az állat fájdalmat jelez. Az első tünetek megjelenésekor végzett klinikai vizsgálattal a csípőízületi fájdalom általában már a betegség gyanúját felkelti, ezért az ízület röntgen vizsgálatát is elvégezzük. Sok esetben azonban a klinikai tünetek megjelenése és a röntgen tünetek megjelenése nem esik egybe, ezért az enyhe fokú sántasággal járó korai szakaszban a betegség nem egyértelműen diagnosztizálható.

Fontos, hogy betegvizsgálat során a kistestű kutyákra jellemző egyéb, a hátulsó végtagokon gyakran kialakult betegségeket egyértelműen kizárjuk (pl. patellaficam, szalagszakadás, egyéb fejlődési rendellenességek, stb.).

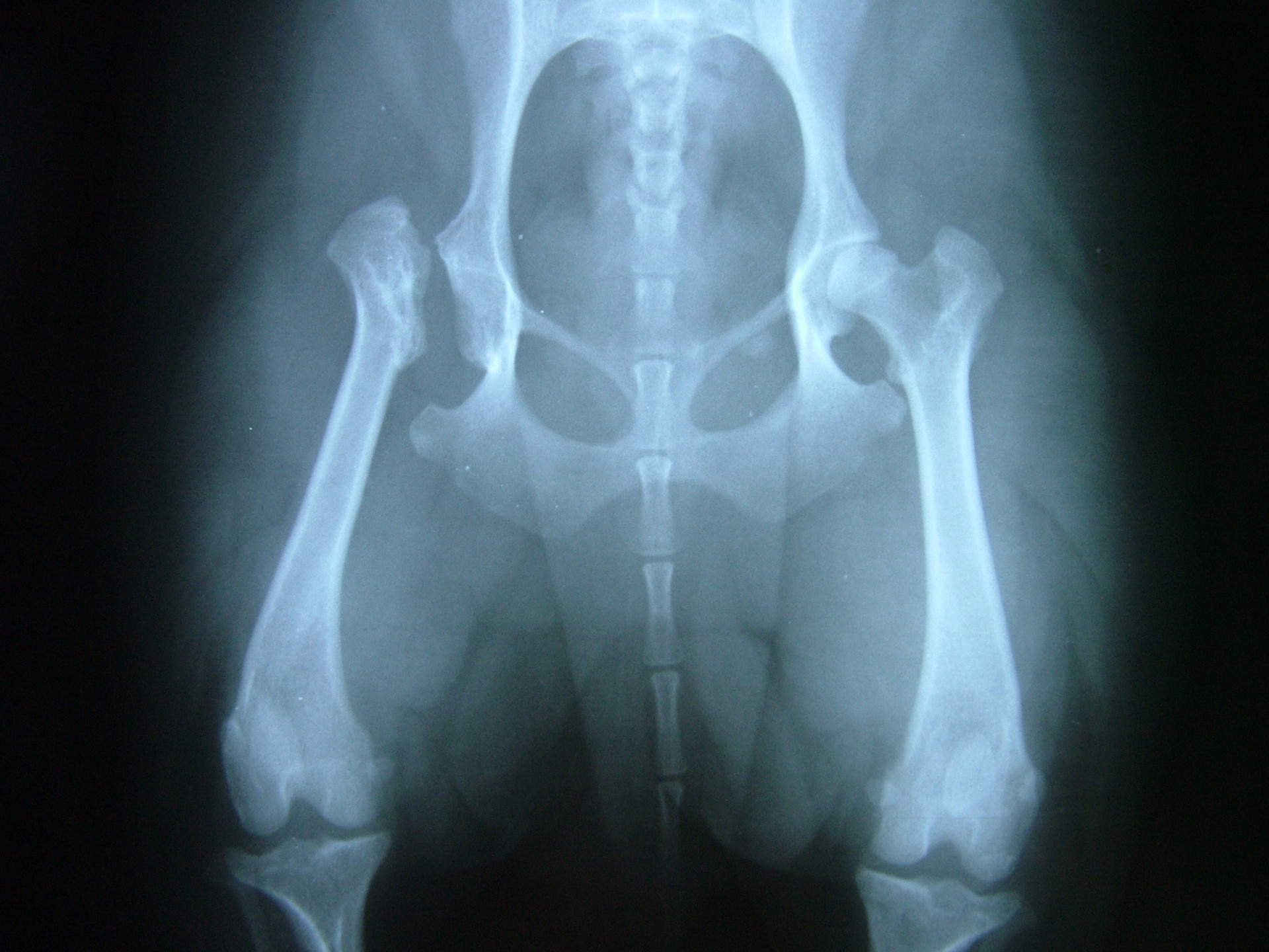
Ilyen esetben a 2-4 hét múlva elvégzett röntgen vizsgálat a Legg-Calve-Perthes kórt egyértelművé teszi.
A felvételen a combcsontfej csontos szerkezetének felbomlása, sok esetben a combcsontfej beroppanása látható.

Legg-Perthes kór - Műtét

A röntgen felvétellel egyértelműen diagnosztizált betegség műtéti ellátást igényel. A beavatkozás során az elhalt combcsontfejet eltávolítjuk, megszűntetve az ízületi fájdalmat. A gyógyulási folyamat során a csípőízület helyén egy laza kötőszövetes kapcsolat alakul ki (álízület, pseudoarticulatio), mely fájdalommentes mozgást biztosít a medencecsont és a combcsont között.

A műtétet követő időszakban - a varratszedés idejéig - az állat szigorú mozgáskorlátozását írjuk elő. Ezt követően a fokozatosság elvét betartva folyamatosan, először csak pórázon, majd szabadon jártatjuk, majd futtatjuk a beteget a műtétet követő 4 héten át.A betegek szinte minden esetben tünetmentesen gyógyulnak.




Ha tetszett a cikk, oszd meg másokkal is:


Kiemelt cikkek

A mellékvese daganatai

A mellékvesék a vese körüli zsírszövetben találhat&oac...

A szájüreg daganatai

A szájüregben előforduló daganatok a daganatos betegségek gyakoriságát vizsgáló statiszt...

Lépcsavarodás

Kedveltem Brandont…Egyike volt azon shar-pei-eknek, akik a rendelőben is barátságosa...

Legfrissebb cikkek

A mellékvese daganatai

A mellékvesék a vese körüli zsírszövetben találhat&oac...

Gerinctörések

A gerinctörések kialakulását minden esetben valamilyen súlyos trauma előzi meg. Az esetek d...

Lépcsavarodás

Kedveltem Brandont…Egyike volt azon shar-pei-eknek, akik a rendelőben is barátságosa...